A video teaser

// TODO: These are the details for the video teaser ...

AquaGene

The curated genetic reference database for fish species
Allowing an unambiguous determination of fisheries products

Species: Alburnus alburnus

Family: Cyprinidae

BOLD data

Samples

Sampling location: Aisch stream in Trailsdorf, trib. to River Regnitz
Sampling country: Germany
Sampling latitude: 49.771 °
Sampling longitude: 11.001 °
Sampling date: 25-09-2007
Voucher: SNSB/ZSM
FASTA sequences
>org.aquagene|ZSM-PIS-036236|ZSM-BayFi 06773_16S|16S ribosomal RNA|Alburnus alburnus
CGCCTCCTGCAACTATATTGAGTATAGGAGGTCCAGCCTGCCCAGTGACTACGGGTTCAACGGCCGCGGTATTTTGACCGTGCAAAGGTAGCGCAATCACTTGTCTCTTAAATAGAGACCTGTATGAATGGCTAGACGAGGGCTTAACTGTCTCCCCCCTCCAGTCAGTGAAATTGATCTATCCGTGCAGAAGCGGGTATAATTATACAAGACGAGAAGACCCTTTGGAGCTTAAGGTACAAAATTCAACCACGTTAAACGACTCTGTAGAAAGCAAGAACTTAGTGGCGGATGAAATTTTACCTTCGGTTGGGGCGACCACGGAGGAGAAAGAAGCCTCCGAGTGGACTGGGCTAAACCCCAAAGCTAAGAGAGACATCTCTAAGCCGCAGAACATCTGACCAAGAATGATCCGACTGAAAGGCCGATCAACGAACCAAGTTACCCTAGGGATAACAGCGCAATCCTCTCCCAGAGTCCATATCGACGAGGGGGTTTACGACCTCGATGTTGGATCAGGACATCCTAATGGTGCAGCCGCTATTAAGGGTTCGTTTGTTCAACGATTAAAGTCCT
>org.aquagene|ZSM-PIS-036236|ZSM-BayFi 06773_COI|Cytochrome c oxidase subunit I|Alburnus alburnus
TTTATCTTGTATTTGGTGCCTGAGCCGGGATAGTGGGGACTGCCCTAAGCCTCCTTATCCGAGCCGAACTAAGCCAGCCTGGGTCACTTTTAGGTGATGATCAAATTTATAATGTCATCGTTACCGCCCACGCCTTTGTAATAATTTTCTTTATAGTCATGCCAATTCTTATTGGAGGGTTTGGAAACTGACTCGTCCCACTAATGATTGGTGCACCCGACATAGCATTCCCACGAATAAATAACATGAGTTTCTGGCTCCTTCCCCCATCATTCCTACTGCTATTAGCTTCTTCTGGAGTTGAGGCCGGCGCTGGGACGGGGTGAACAGTATACCCACCCCTCGCAGGCAATCTTGCCCATGCAGGAGCATCAGTAGATTTAACAATCTTCTCACTTCATCTAGCAGGTGTATCATCAATTTTAGGTGCAGTTAACTTCATTACCACAATTATTAATATGAAACCTCCAGCCATCTCCCAATATCAAACACCCCTCTTTGTGTGAGCCGTACTAGTAACGGCTGTCCTTCTCCTCCTCTCACTACCAGTTCTAGCTGCTGGAATTACAATGCTTCTTACGGATCGTAATCTTAATACCACATTCTTCGATCCGGCAGGGGGAGGAGACCCAATCCTATATCAACACTTA
>org.aquagene|ZSM-PIS-036236|ZSM-BayFi 06773_CYB|Cytochrome-b|Alburnus alburnus
TGGCAAGCCTACGAAAAACCCACCCACTAATAAAAATCGCTAATGACGCGCTAGTCGATCTTCCAACACCATCTAACATTTCAGCAATATGAAATTTCGGATCCCTTCTAGGGTTATGTTTAATTACCCAAATCCTAACAGGGTTATTCCTAGCCATACACTACACCTCCGATATCTCAACCGCATTCTCATCAGTCACCCATATTTGCCGGGACGTTAACTACGGCTGGCTCATTCGAAACCTACATGCCAACGGAGCATCCTTCTTCTTCATCTGCCTATATATGCATATCGCACGAGGTCTATATTACGGCTCATATCTTTATAAAGAGACCTGAAACATTGGGGTAGTACTATTTCTTCTGGTTATGATAACAGCCTTCGTGGGCTATGTACTCCCA
Images
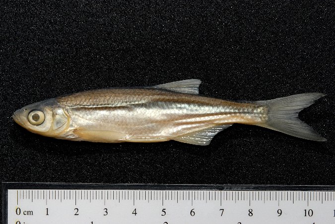
Image ZSM-PIS-036236|ZSM-BayFi 06773 of sample ZSM-PIS-036236|ZSM-BayFi 06773 (species: Alburnus alburnus) / © LGL_SNSB/ZSM
[1]
Details for image 1

© LGL_SNSB/ZSM

Copyrights:

[1] LGL_SNSB/ZSM

Sampling location: Eger River at Fischern-Hohenberg, N of Schirnding, Upper Franconia, Bavaria State
Sampling country: Germany
Sampling latitude: 50.094 °
Sampling longitude: 12.231 °
Sampling date: 18-10-2007
Voucher: SNSB/ZSM
FASTA sequences
>org.aquagene|ZSM-PIS-036383|ZSM-BayFi 06955_16S|16S ribosomal RNA|Alburnus alburnus
CGCCTCCTGCAACTATATTGAGTATAGGAGGTCCAGCCTGCCCAGTGACTACGGGTTCAACGGCCGCGGTATTTTGACCGTGCAAAGGTAGCGCAATCACTTGTCTCTTAAATAGAGACCTGTATGAATGGCTAGACGAGGGCTTAACTGTCTCCCCCCTCCAGTCAGTGAAATTGATCTATCCGTGCAGAAGCGGGTATAATTATACAAGACGAGAAGACCCTTTGGAGCTTAAGGTACAAAATTCAACCACGTTAAACGACTCTGTAGAAAGCAAGAACTTAGTGGCGGATGAAATTTTACCTTCGGTTGGGGCGACCACGGAGGAGAAAGAAGCCTCCGAGTGGACTGGGCTAAACCCCAAAGCTAAGAGAGACATCTCTAAGCCGCAGAACATCTGACCAAGAATGATCCGACTGAAAGGCCGATCAACGAACCAAGTTACCCTAGGGATAACAGCGCAATCCTCTCCCAGAGTCCATATCGACGAGGGGGTTTACGACCTCGATGTTGGATCAGGACATCCTAATGGTGCAGCCGCTATTAAGGGTTCGTTTGTTCAACGATTAAAGTCCT
>org.aquagene|ZSM-PIS-036383|ZSM-BayFi 06955_COI|Cytochrome c oxidase subunit I|Alburnus alburnus
TACCCTTTATCTTGTATTTGGTGCCTGAGCCGGGATAGTGGGGACTGCCCTAAGCCTCCTTATCCGAGCCGAACTAAGCCAGCCTGGGTCACTTTTAGGTGATGATCAAATTTATAATGTCATCGTTACCGCCCACGCCTTTGTAATAATTTTCTTTATAGTCATGCCAATTCTTATTGGAGGGTTTGGAAACTGACTCGTCCCACTAATGATTGGTGCACCCGACATAGCATTCCCACGAATAAATAACATGAGTTTCTGGCTCCTTCCCCCATCATTCCTACTGCTATTAGCTTCTTCTGGAGTTGAGGCCGGCGCTGGGACGGGGTGAACAGTATACCCACCCCTCGCAGGCAATCTTGCCCATGCAGGAGCATCAGTAGATTTAACAATCTTCTCACTCCATCTAGCAGGTGTATCATCAATTTTAGGTGCAGTTAACTTCATTACCACAATTATTAATATGAAACCTCCAGCCATCTCCCAATATCAAACACCCCTCTTTGTGTGAGCCGTACTAGTAACGGCTGTCCTTCTCCTCCTCTCACTACCAGTTCTAGCTGCTGGAATTACAATGCTTCTTACGGATCGTAATCTTAATACCACATTCTTCGATCCGGCAGGGGGAGGAGACCCAATCCTATATCAACACTTA
>org.aquagene|ZSM-PIS-036383|ZSM-BayFi 06955_CYB|Cytochrome-b|Alburnus alburnus
TGGCAAGCCTACGAAAAACCCACCCACTAATAAAAATCGCTAATGACGCGCTAGTCGATCTTCCAACACCATCTAACATTTCAGCAATATGAAATTTCGGATCCCTTCTAGGGTTATGTTTAATTACCCAAATCCTAACAGGGTTATTCCTAGCCATACACTACACCTCCGATATCTCAACCGCATTCTCATCAGTCACCCATATTTGCCGGGACGTTAACTACGGCTGGCTCATTCGAAACCTACATGCCAACGGAGCATCCTTCTTCTTCATCTGCCTATATATGCATATCGCACGAGGTCTATATTACGGCTCATATCTTTATAAAGAGACCTGAAACATTGGGGTAGTACTATTTCTTCTGGTTATGATAACAGCCTTCGTGGGCTATGTACTCCCA
Images
Image ZSM-PIS-036383|ZSM-BayFi 06955 of sample ZSM-PIS-036383|ZSM-BayFi 06955 (species: Alburnus alburnus) / © LGL_SNSB/ZSM
[1]
Details for image 1

© LGL_SNSB/ZSM

Copyrights:

[1] LGL_SNSB/ZSM

Sampling location: Bavaria Itz stream E of Untermerzbach, trib. to Main River
Sampling country: Germany
Sampling latitude: 50.125 °
Sampling longitude: 10.866 °
Sampling date: 23-10-2009
Voucher: SNSB/ZSM
FASTA sequences
>org.aquagene|ZSM-PIS-038304|ZSM-BayFi 08531_16S|16S ribosomal RNA|Alburnus alburnus
CGCCTCCTGCAACTATATTGAGTATAGGAGGTCCAGCCTGCCCAGTGACTACGGGTTCAACGGCCGCGGTATTTTGACCGTGCAAAGGTAGCGCAATCACTTGTCTCTTAAATAGAGACCTGTATGAATGGCTAGACGAGGGCTTAACTGTCTCCCCCCTCCAGTCAGTGAAATTGATCTATCCGTGCAGAAGCGGGTATAATTATACAAGACGAGAAGACCCTTTGGAGCTTAAGGTACAAAATTCAACCACGTTAAACGACTCTGTAGAAAGCAAGAACTTAGTGGCGGATGAAATTTTACCTTCGGTTGGGGCGACCACGGAGGAGAAAGAAGCCTCCGAGTGGACTGGGCTAAACCCCAAAGCTAAGAGAGACATCTCTAAGCCGCAGAACATCTGACCAAGAATGATCCGACTGAAAGGCCGATCAACGAACCAAGTTACCCTAGGGATAACAGCGCAATCCTCTCCCAGAGTCCATATCGACGAGGGGGTTTACGACCTCGATGTTGGATCAGGACATCCTAATGGTGCAGCCGCTATTAAGGGTTCGTTTGTTCAACGATTAAAGTCCT
>org.aquagene|ZSM-PIS-038304|ZSM-BayFi 08531_COI|Cytochrome c oxidase subunit I|Alburnus alburnus
TTTATCTTGTATTTGGTGCCTGAGCCGGGATAGTGGGGACTGCCCTAAGCCTCCTTATCCGAGCCGAACTAAGCCAGCCTGGGTCACTTTTAGGTGATGATCAAATTTATAATGTCATCGTTACCGCCCACGCCTTTGTAATAATTTTCTTTATAGTCATGCCAATTCTTATTGGAGGGTTTGGAAACTGACTCGTCCCACTAATGATTGGTGCACCCGACATAGCATTCCCACGAATAAATAACATGAGTTTCTGGCTCCTTCCCCCATCATTCCTACTGCTATTAGCTTCTTCTGGAGTTGAGGCCGGCGCTGGGACGGGGTGAACAGTATACCCACCCCTCGCAGGCAATCTTGCCCATGCAGGAGCATCAGTAGATTTAACAATCTTCTCACTCCATCTAGCAGGTGTATCATCAATTTTAGGTGCAGTTAACTTCATTACCACAATTATTAATATGAAACCTCCAGCCATCTCCCAATATCAAACACCCCTCTTTGTGTGAGCCGTACTAGTAACGGCTGTCCTTCTCCTCCTCTCACTACCAGTTCTAGCTGCTGGAATTACAATGCTTCTTACGGATCGTAATCTTAATACCACATTCTTCGATCCGGCAGGGGGAGGAGACCCAATCCTATATCAACACTTA
>org.aquagene|ZSM-PIS-038304|ZSM-BayFi 08531_CYB|Cytochrome-b|Alburnus alburnus
TGGCAAGCCTACGAAAAACCCACCCACTAATAAAAATCGCTAATGACGCGCTAGTCGATCTTCCAACACCATCTAACATTTCAGCAATATGAAATTTCGGATCCCTTCTAGGGTTATGTTTAATTACCCAAATCCTAACAGGGTTATTCCTAGCCATACACTACACCTCCGATATCTCAACCGCATTCTCATCAGTCACCCATATTTGCCGGGACGTTAACTACGGCTGGCTCATTCGAAACCTACATGCCAACGGAGCATCCTTCTTCTTCATCTGCCTATATATGCATATCGCACGAGGTCTATATTACGGCTCATATCTTTATAAAGAGACCTGAAACATTGGGGTAGTACTATTTCTTCTGGTTATGATAACAGCCTTCGTGGGCTATGTACTCCCA
Images
Image ZSM-PIS-038304|ZSM-BayFi 08531 of sample ZSM-PIS-038304|ZSM-BayFi 08531 (species: Alburnus alburnus) / © LGL_SNSB/ZSM
[1]
Details for image 1

© LGL_SNSB/ZSM

Copyrights:

[1] LGL_SNSB/ZSM

AquaGene

A genetic database collaboration developed by the Thünen Institute of Fisheries Ecology together with the Max Rubner-Institute - Department of Safety and Quality of Milk and Fish Products and Impetus Bioscience.

Funded by the German Federal Ministry of Food and Agriculture.

Sample collection performed by the Thünen Institute of Fisheries Ecology in cooperation with the University Mohammed V-Agdal (Morocco), the Instituto Nacional de Desenvolvimento das Pescas (Cape Verde), the National Agricultural Research Institute (The Gambia) and the EAF-Nansen Project.

Funded by the Moroccan Ministry of Higher Education, Scientific Research and Formation of Cadres and the German Federal Ministry of Education and Research.

Contact

Reinhold Hanel (portrait)
Reinhold Hanel portrait

// TODO: These are the details for the Reinhold Hanel portrait ...

Responsible for the content/editorial:
Prof. Dr. Reinhold Hanel

Johann Heinrich von Thünen Institute

Institute of Fisheries Ecology
Herwigstraße 31, 27572 Bremerhaven, Germany
Phone: +49 471 94460 200
Fax: +49 471 94460 199
Email: aquagene@thuenen.de

Headquarter
Johann Heinrich von Thünen Institute
Federal Research Institute for Rural Areas, Forestry and Fisheries
Bundesallee 50, 38116 Braunschweig, Germany
Phone: +49 531 596 1218
Fax: +49 531 596 1099
Email: info@thuenen.de

© 2026 Johann Heinrich von Thünen Institute